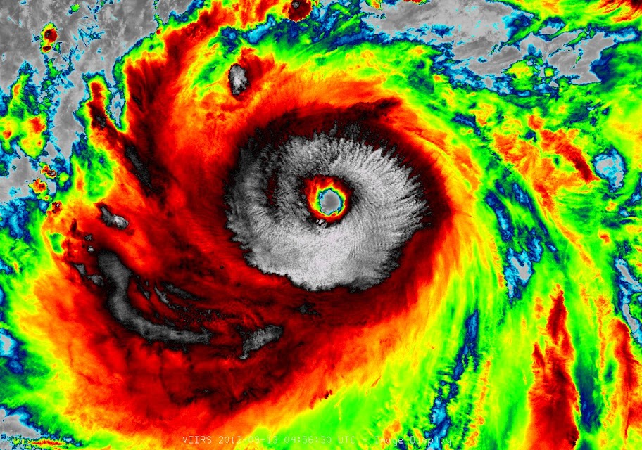
Algunas imágenes del monstruo:
Fuente de algunas imágenes: cazatormentas.net y embalses.net
Este es un blog creado para la opinión y publicación de datos sobre la Meteorología y los Embalses. Con publicación de fotos, videos y datos interesantes sobre ambos temas. Además del seguimiento del Tiempo general en España y sobre todo en Andalucía(y Sevilla en particular) aportando además datos de estación meteorológica propia. Está permitida la utilización de estos datos simpre y cuando se cite el nombre y el autor de la estación.